
画像:資料
神戸市が、土地利用条件付きで「西神中央」の土地を買う人を募集するそうです。

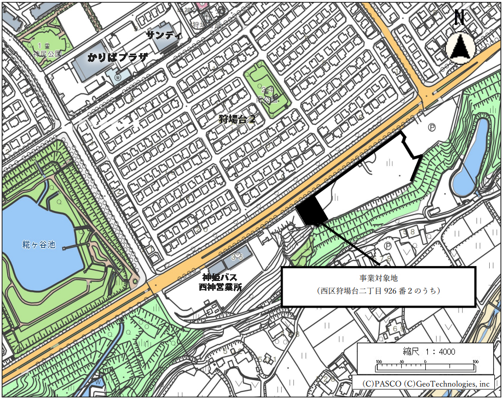
土地の入札が行われるのは、西神中央駅の南東、「狩場台」の一角。駅からは歩いて25分ほどのかなり端っこのエリアです。

片側2車線の「西神2号線」沿いで、隣には「神姫バス西神営業所」があります。
広さは約1800㎡。北側にある「かりばプラザ」よりは小さい規模です。
市はここを「物販・飲食・サービス業の生活利便施設」にするという「土地利用条件付き」で買う人を求めてます。
ちなみに、お値段は最低でも「1億9100万円」。
ストリートビューで確認すると、今はフェンスで囲まれ、草や木が生えた雑然とした状態の場所。
車道とは「街路樹」で区切られていますが、駐車場の整備も求められているので、一部が取り除かれアクセスしやすいような状態に変わるもと思われます。
ただ、中央分離帯は変えられないそうなので、西向きの道路からのみ入る形になりそうです。

画像:こうべ未来都市機構運営 WE LOVE商店街より
歩いて7~8分ほどのところにある商業施設「かりばプラザ」とのすみ分けは、どうなるのか?
「かりばプラザ」は、2028年の運営開始を目標にした「高齢者住宅」なども整備するリニューアルが行われる計画です。
今回の土地の入札条件では、「既設の店舗との競合に配慮」する事になっていて、同じような店が入ることにはならないみたい。
「かりばプラザ」リニューアルにあたっての住民参加の「ワークショップ」では、「ジムや体育館など身体を動かせる施設」、「学生がバイトできるような飲食店(友達同士で集まることもできる)」「コンビニ」などを誘致してほしいという意見が聞かれていました。
新たな「生活利便施設」として、こうした希望が叶えられると、より住みやすくなりそうですね。
今後のスケジュールは、「2026年3月上旬」に入札が行われ、中旬には結果が出る予定です。
◆関連リンク
・NPO法人コミュニテイかりば – 公式サイト
・こうべ未来都市機構 – 公式サイト












































この地域にはコンビニが少ないので、当然コンビニが出来てほしという声はあると思います。
また、高齢者も多くいるので、民間ではなく神戸市に健康に関する施設を設置してほしい。
おっしゃる通り、ここは中央分離帯をどうにかできないとなると、地域住民からすると入るのが不便になるのは間違いないですね。横断歩道でも整備しないと徒歩圏内住民は顧客対象外になってしまう。あと、おばあさんやおじいさんが、横断歩道のない所を横断してしまう危ない呼び水になってしまいそうで心配です。 三木や木津方面から車で帰宅時にあのエリアに帰って来る人達にとっては良い感じの場所になりそうですけどね。
なんにせよここに来て新しい施設ができるかもしれない動きは歓迎ですし応援したいです。
それにしても記事の中にgoogle mapが見れるのはわかりやすいですね!こういう今はなにも目印になるものがないエリアなんて特に。続報またお願いしたいですー。